量具使用-7.水平仪(图文教程)

水平仪是测量角度变化的一种常用量具,主要用于测量机件相互位置的水平位置和设备安装时的平面度、直线度和垂直度,也可测量零件的微小倾角。

    常用的水平仪有条式水平仪、框式水平仪和数字式光学合象水平仪等。

    一  条式水平仪

量具使用-7.水平仪(图文教程),量具使用-7.水平仪,使用,教程,第1张 

7-1  条式水平仪

图7-1是钳工常用的条式水平仪。条式水平仪由作为工作平面的V型底平面和与工作平面平行的水准器 (俗称气泡)两部分组成。工作平面的平直度和水准器与工作平面的平行度都做得很精确。当水平仪的底平面放在准确的水平位置时,水准器内的气泡正好在中间位置 (即水平位置)。 在水准器玻璃管内气泡两端刻线为零线的两边,刻有不少于8格的刻度,刻线间距为2mm。当水平 仪的底平面与水平位置有微小的差别时,也就是水平仪底平面两端有高低时,水准器内的气泡由于地心引力的作用总是往水准器的最高一侧移动,这就是水平仪的使用原理。两端高低相差不多时,气泡移动也不多,两端高低相差较大时,气泡移动也较大,在水准器的刻度上就可读出两端高低的差值。

7-1   水平仪的规格

品种

外形尺寸(mm

分度值

组别

(mm/m)

框式

100

2535

100

0.02

150

3040

150

200

3540

200

250

4050

250

0.030.05

300

300

条式

100

3035

3540

150

3540

3545

200

4045

4050

0.060.15

250

300

条式水平仪的规格见表7-1。条式水平仪分度值的说明,如分度值0.03mm/m,即表示气泡移动一格时,被测量长度为1m的两端上,高低相差0.03mm。再如,用200mm长,分度值为0.05mm/m的水平仪,测量400mm长的平面的水平度。先把水平仪放在平面的左侧,此时若气泡向右移动二格,再把水平仪放在平面的右侧,此时若气泡向左移动三格,则说明这个平面是中间高两侧低的凸平面。中间高出多少毫米呢?从左侧看中间比左端高二格,即在被测量长度为1m时,中间高2×0.05=0.10mm,现实际测量长度为200mm,是1m的  ,所以,实际上中间比左端高0.10×  = 0.02mm。从右侧看:中间比右端高三格,即在被测量长度为1m时,中间高3×0.05=0.15mm,现实际测量长度为200mm,是1m的  ,所以,实际上中间比右端高0.15×  =0.03mm。由此可知,中间比左端高0.02mm,中间比右端高0.03mm,则中间比两端高出的数值为(0.02+0.03)&pide;2=0.025mm。

二  框式水平仪

7-2是常用的框式水平仪,主要由框架1和弧形玻璃管主水准器2、调整水准3组成。利用水平仪上水准泡的移动来测量被测部位角度的变化。

量具使用-7.水平仪(图文教程),量具使用-7.水平仪,使用,教程,第2张

7-2  框式水平仪

1-框架  2-主水准器  3-调整水准

框架的测量面有平面和V形槽,V形槽便于在圆柱面上测量。弧形玻璃管的表面上有刻线,内装乙醚(或酒精) ,并留有一个水准泡,水准泡总是停留在玻璃管内的最高处。若水平仪倾斜一个角度,气泡就向左或向右移动,根据移动的距离(格数) ,直接或通过计算即可

知道被测工件的直线度,平面度或垂直度误差。

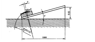
水平仪工作原理(7-3),精度为0.02mm/1000mm的水平仪玻璃管,曲率半径

R=103132mm,当平面在1000mm长度中倾斜0.02mm,则倾斜角为:

量具使用-7.水平仪(图文教程),量具使用-7.水平仪,使用,教程,第3张

水准泡转过的角度应与平面转过的角度相等,则水准泡移动的距离(1为:

量具使用-7.水平仪(图文教程),量具使用-7.水平仪,使用,教程,第4张

量具使用-7.水平仪(图文教程),量具使用-7.水平仪,使用,教程,第5张

量具使用-7.水平仪(图文教程),量具使用-7.水平仪,使用,教程,第6张

7-3  框式水平仪工作原理                                 

    水平仪的读数方法有直接读数法和平均读数法两种。   

1)直接读数法  以气泡两端的长刻线作为零线,气泡相对零线移动格数作为读数,这种读数方法最为常用,见图7-4

量具使用-7.水平仪(图文教程),量具使用-7.水平仪,使用,教程,第7张

7-4  直接读数法

7-4a表示水平仪处于水平位置,气泡两端位于长线上,读数为“0”;图7-4b表示水平仪逆时针方向倾斜,气泡向右移动,图示位置读数为“+2”;图7-4c表示水平仪顺时针方向倾斜,气泡向左移动,图示位置读数为“-3”

    2)平均读数法  由于环境温度变化较大,使气泡变长或缩短,引起读数误差而影响测量的正确性,可采用平均读数法,以消除读数误差。

    平均读数法读数是分别从两条长刻线起,向气泡移动方向读至气泡端点止,然后取这两个读数的平均值作为这次测量的读数值。

    7-5a表示,由于环境温度较高,气泡变长,测量位置使气泡左移。读数时,从左边长刻线起,向左读数“-3”;从右边长刻线起,向左读数“—2”。取这两个读数的平均值,作为这次测量的读数值:

量具使用-7.水平仪(图文教程),量具使用-7.水平仪,使用,教程,第8张  

量具使用-7.水平仪(图文教程),量具使用-7.水平仪,使用,教程,第9张

                                7-5  平均读数法

    7-5b表示,由于环境温度较低,气泡缩短,测量位置使气泡右移,按上述读数方法,读数分别为“+2”和“+1”,则测量的读数值是:

量具使用-7.水平仪(图文教程),量具使用-7.水平仪,使用,教程,第10张

框架水平仪的使用方法:

1  框架水平仪的两个V形测量面是测量精度的基准,在测量中不能与工作的粗糙面接触或摩擦。安放时必须小心轻放,避免因测量面划伤而损坏水平仪和造成不应有的测量误差。

2  用框架水平仪测量工件的垂直面时,不能握住与副侧面相对的部位,而用力向工件垂直平面推压,这样会因水平仪的受力变形,影响测量的准确性。正确的测量方法是手握持副测面内侧,使水平仪平稳、垂直地(调整气泡位于中间位置)贴在工件的垂直平面上,然后从纵向水准读出气泡移动的格数。

量具使用-7.水平仪(图文教程),量具使用-7.水平仪,使用,教程,第11张

正确                               错误

 图7-6  水平仪的使用方法

3  使用水平仪时,要保证水平仪工作面和工件表面的清洁,以防止脏物影响测量的准确性。测量水平面时,在同一个测量位置上,应将水平仪调过相反的方向再进行测量。当移动水平仪时,不允许水平仪工作面与工件表面发生摩擦,应该提起来放置。如图7-6所示。              

     4  当测量长度较大工件时,可将工件平均分若干尺寸段,用分段测量法,然后根据各段的测量读数,绘出误差坐标图,以确定其误差的最大格数。如图7-7所示。床身导轨在纵向垂直平面内直线度的检验时,将方框水平仪纵向放置在刀架上靠近前导轨处(图7-7中位置A),从刀架处于主轴箱一端的极限位置开始,从左向右移动刀架,每次移动距离应近似等于水平仪的边框尺寸(200mm)。依次记录刀架在每一测量长度位置时的水平仪读数。将这些读数依次排列,用适当的比例画出导轨在垂直平面内的直线度误差曲线。水平仪读数为纵坐标,刀架在起始位置时的水平仪读数为起点,由坐标原点起作一折线段,其后每次读数都以前折线段的终点为起点,画出应折线段,各折线段组成的曲线,即为导轨在垂直平面内直线度曲线。曲线相对其两端连线的最大坐标值,就是导轨全长的直线度误差,曲线上任一局部测量长度内的两端点相对曲线两端点的连线坐标差值,也就是导轨的局部误差。

量具使用-7.水平仪(图文教程),量具使用-7.水平仪,使用,教程,第12张

AB水平仪

图7-7  纵向导轨在垂直平面内的直线度检验

例  一台床身导轨长度为1600mm的卧式车床,用尺寸为200mm×200mm、精度为0.02mm/lOOOmm的方框水平仪检验其直线度误差。

将导轨分成8段,使每段长度为水平仪边框尺寸(200mm),分段测得水平仪的读数为:+1、+2、+1、0、-1、0、-1、-0.5。根据这些读数画出误差曲线图(图7-8)。作图的坐标为:纵轴方向每一格表示水平仪气泡移动一格的数值;横轴方向表示水平仪的每段测量长度。作出曲线后再将曲线的首尾(两端点)连线I-I。并经曲线的最高点作垂直于水平轴方向的垂线与连线相交的那段距离n,即为导轨的直线度误差的格数。从误差曲线图可以看到,导轨在全长范围内呈现出中间凸的状态,且凸起值最大在导轨600mm-800mm长度处。

量具使用-7.水平仪(图文教程),量具使用-7.水平仪,使用,教程,第13张

量具使用-7.水平仪(图文教程),量具使用-7.水平仪,使用,教程,第14张 量具使用-7.水平仪(图文教程),量具使用-7.水平仪,使用,教程,第15张将水平仪测量的偏差格数换算成标准的直线度误差值δ

量具使用-7.水平仪(图文教程),量具使用-7.水平仪,使用,教程,第16张     

式中    ——误差曲线中的最大误差格数;

    ——水平仪的精度(0.02mm/lOOOmm);

——每段测量长度(mm)。

免责声明:
1;所有标注为智造资料网zl.fbzzw.cn的内容均为本站所有,版权均属本站所有,若您需要引用、转载,必须注明来源及原文链接即可,如涉及大面积转载,请来信告知,获取《授权协议》。
2;本网站图片,文字之类版权申明,因为网站可以由注册用户自行上传图片或文字,本网站无法鉴别所上传图片或文字的知识版权,如果侵犯,请及时通知我们,本网站将在第一时间及时删除,相关侵权责任均由相应上传用户自行承担。
[complaint:内容投诉]
智造资料网打造智能制造3D图纸下载,在线视频,软件下载,在线问答综合平台 » 量具使用-7.水平仪(图文教程)